Description
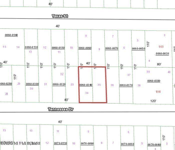
Two parcels are included in this sale,~ 112 & 114 Tennessee Drive, offering a combined total of .20 acres of land. Tucked away off a quiet dirt road, this undeveloped property is full of potential for its next owners. Whether you're looking to invest for the future, or bring your vision to life, this blank canvas provides the opportunity to make it your own. With its natural setting and versatile space, it's the perfect place to start building your next chapter.
-
0BEDS
-
0.2ACRES
-
0BATHS
-
01/2 BATHS
School Ratings & Info
Description
Two parcels are included in this sale,~ 112 & 114 Tennessee Drive, offering a combined total of .20 acres of land. Tucked away off a quiet dirt road, this undeveloped property is full of potential for its next owners. Whether you're looking to invest for the future, or bring your vision to life, this blank canvas provides the opportunity to make it your own. With its natural setting and versatile space, it's the perfect place to start building your next chapter.
© 2026 Northeast Florida Multiple Listing Service, Inc. All rights reserved. The data relating to real estate for sale on this web site comes in part from the Internet Data Exchange (IDX) program of the Northeast Florida Multiple Listing Service, Inc. Real estate listings held by brokerage firms other than Palm 3 Realty are marked with the listing broker’s name and detailed information about such listings includes the name of the listing brokers. Data provided is deemed reliable but is not guaranteed. Data last updated 2026-02-16T20:24:36.173.
Digital Millennium Copyright Act
